2014年7月12日

ゆっくり朝マヅメ

(俺・タイソン)



 今回は久々にタイソンと某堤防へ行き、餌釣りで根魚や鯛を狙う事になった。

 今日は大潮で明け方の4:20頃に満潮を迎えるが、台風が去って間もないという事で海面はやや濁っている。

 しかし波も風も予想以上に早く治まっているので喜ばしい限りだ。

活性はまぁ良し

 AM1:40頃、深夜の堤防で支度が整ったらGクリルを餌に早速2人で釣り始める。

 釣り始めこそ反応は少なかったが、それでも10分も経った頃にはいつもの活性が戻ってきたようだ。

 今宵はキンギョもやや控え目のようだが、タイソンの方には何故か鯖やムツの幼魚もHITしていた。

 リリースする外道は程々に、本命や嬉しい方の外道にも期待を寄せながら堤防沿いを攻め歩く。

 そして釣り始めて40分程経った頃、俺の竿にやや強めの引き応えの獲物が掛かった。

 大物・・とまではいかない手応えだが、やり取りを楽しんでから水面に寄せてみると尺位の魚影が見える。

 どうやら鯛ではない様なので、少々強引に引っこ抜いてみると、獲物の正体は案の定メジナであった。
  まぁそれなりに楽しませて貰ったので満足だ。

 メジナを放った後もカサゴはコンスタントに掛かってくるが、今宵の獲物達は全般的に食いが浅くてバラシも多い。

 開始から結構な数のカサゴを放っているが、俺はキープサイズに恵まれないまま時間が過ぎてゆく。

 タイソンの方は24Cm近いカサゴも釣れているので少々キープを得られているようだ。

リリース済み

 しかし一通り探り歩いて一息入れようと思った頃までに土産は増やせず、いよいよ根魚狙いから落とし込みにシフトする 段階に入った。

 軽く休憩をしたら、まだまだ暗いテトラ帯へ降りてイワガニを採取する。暗いせいか気温が低いせいなのか、日中に比べ ると動きが鈍いので捕え易い。

 程なくして餌箱はカニで満たされ、俺達は鯛を狙って動き出す。

 曇り空が露わになってくる中、俺達は先程の釣り方よりも広く間隔を空けて探り歩く。
  どちらかがHITしても場荒れの影響を受けにくくする為だ。

 適度な距離を保ったまま探り歩く俺達だが、最初に竿を曲げたのはタイソンだった。

 タイソン的に餌釣りでは久々の手応えだろう。大きく竿を曲げてやり取りする様子に期待も高まる。

 ランディングに駆けつけると、間も無く褐色の魚体が浮いてきた。

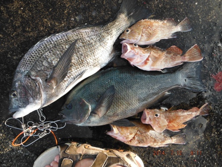
 無事に回収してみると獲物は黒鯛ではなくメジナだったが、サイズは44Cmと過去の記録に並ぶ大きさだ。

 とりあえずストリンガーに掛けて、次を狙う。

 しかし刻々と明るくなっていく中、アタリはそこそこあるのになかなか針掛かりさせられない。

 アワセのタイミングに悩みながら餌が消えていたり、最初のダッシュまでは漕ぎつけられても針が外れたり、たまにカサ ゴに喰われたり・・。

土産になった

 気がつけば餌箱のカニも在庫が切れてしまい、追加で捕獲する羽目になった。

 タイソンの様子もチラチラ窺いながら、なんとか本命を釣るべく集中していく。

 そして落とし込みを始めて1時間程経過した頃、ようやく俺の竿にHIT。

 今度は早い段階で追いアワセを何度も喰らわせ、入念にやり取りをする。

 手応えとしては充分な獲物・・恐らく本命だろう。

 程なくして濁り気味の海面に黒鯛の姿が現れ、無事に回収した。

 痩せ気味だが46Cmで、なんとか面目を保てた感じか。そういえば今年初黒鯛かな。

 本命をストリンガーに掛けた後も更なる追加を目指してスパートを掛ける。

 タイソンの方も結構アタリがはあるようだが、1発目のメジナ以降は沈黙が続いている。

 そしてとうとう完全に陽が昇るまでに追加は得られず、潮時を感じて終了。

 今回も全般的に反応は良かったものの、土産となるキープサイズは少なく少々物足りない結果となった。

 せっかく朝マヅメをフル活用出来る時間帯に来たのに惜しい内容である。またリベンジしよう。

 

少々物足りない




戻る